$3,500,000
Est. payment /mo
8.06 Acres Lot
Under Contract
1681 Woodland AVE Edison, NJ 08820
REQUEST A TOUR If you would like to see this home without being there in person, select the "Virtual Tour" option and your advisor will contact you to discuss available opportunities.
In-PersonVirtual Tour

UPDATED:
Key Details
Property Type Vacant Land
Sub Type Residential
Listing Status Under Contract
Purchase Type For Sale
MLS Listing ID 2310720R
Lot Size 8.060 Acres
Acres 8.06
Lot Dimensions 0.00 x 0.00
Property Sub-Type Residential
Source CJMLS API
Property Description
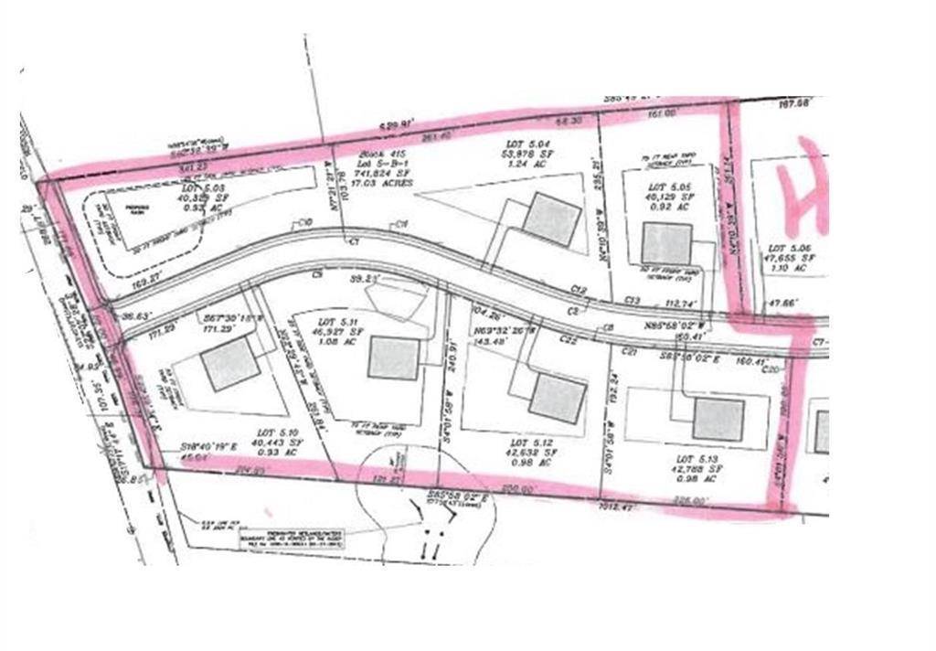
What an Opportunity ! Calling all Builders! 8+ acres for 6 home subdivision located in the most desirable location in North Edison - JP Stevens school district! This property allows for a 6 home subdivision which will not require any variances. By Right subdivision (all conforming) of 6 lots with minimum size 0.92 acre, plus one lot for required retention basin. Each buildable lot is at least 40000 square feet (builders acre) without deed restrictions - Utilities in the street - Please see attached specification sheet and site plan - Owners residence remains at the end of the proposed cul de sac and is not part of the offering
Location
State NJ
County Middlesex
Zoning Residential
Rooms
Other Rooms See Remarks, None
Interior
Heat Source See Remarks
Exterior
Fence Fenced
Utilities Available See Remarks
View Y/N true
View Pasture
Topography Rolling,See Remarks
Street Surface Asphalt
Building
Lot Description See Remarks, Wooded, Wetlands
Sewer See Remarks, In Street
Water See Remarks, In Street
Others
Senior Community no
Tax ID UNKNOWN
Ownership Fee Simple,See Remarks
Energy Description See Remarks

Listed by COLDWELL BANKER REALTY
GET MORE INFORMATION

QUICK SEARCH

